long8-龙8(中国)唯一官方网站

中国卫星改变世界?-龙8科技
新闻动态
最新动态,了解最新资讯
中国卫星改变世界?
2025-10-24 18:48:17
作者:小编 
访问数:

  你可能不知道,最近你买的那只东海梭子蟹、点的那份外卖、甚至在台风来临时,能安全归家,

  没错,就是那些在太空中默默运转的”小家伙”们,正在以你意想不到的方式,悄悄改变着我们的生活。

  今年以来,中国在卫星和卫星制造领域正经历一场真正的”低轨革命”。千帆星座要部署1.5万颗卫星,GW星座计划发射1.2万颗,就在2025年,我们预计要发射约854颗卫星。这些数字听起来挺抽象的,但它们代表的意义却非常实在——卫星正在从”高冷科技”向”民生工具”转型。

中国卫星改变世界?(图1)

  这些进展不只是数字堆砌,更是卫星从遥不可及的太空技术,变成我们身边看不见但离不开的生活助手的基石。这是个科技勃发的时代,卫星也正在像手机从”大哥大”变成智能手机一样,经历一场从专业工具到民用神器的华丽转身。

中国卫星改变世界?(图2)

  说到卫星应用,你可能首先想到的是导航,但实际上,卫星的本事远不止这些。就拿农业来说,高分卫星现在能够”一眼认出”田地里的罂粟花。

  就在2025年2月,中国禁毒部门就通过卫星遥感技术,在南海成功协助破获了集盛轮海上走私毒品案,缴获毒品近5吨。卫星不仅能从太空看见可疑船只的轨迹,还能通过光谱分析识别农田里的非法种植作物——罂粟花在卫星眼中有着独特的光谱指纹,就像每个人的身份证一样。

  所谓光谱指纹,简单说就是不同植物反射光线的身份证。每种植物由于叶绿素含量、细胞结构、含水量等不同,会在可见光到近红外波段(400-2500纳米)形成独特的反射光谱曲线。就像人的指纹一样,这个光谱曲线是唯一的。

  高光谱遥感卫星能够获取地物连续、精细的光谱信息,构建光谱指纹库。当卫星扫描农田时,系统会自动比对每个像素点的光谱特征,罂粟在近红外波段有着明显的红边效应,与正常农作物如玉米、小麦的光谱曲线差异显著。

中国卫星改变世界?(图3)

  通过高分辨率遥感技术,卫星不仅能识别禁种作物,还能实时监测农作物的生长状况、水肥情况,甚至能提前预警旱涝、虫害。

  想想以前农民种地有多凭感觉:今年雨水多不多?全靠看天;哪块地该施肥?全靠经验;病虫害什么时候来?等发现黄叶子再说。结果呢?要么肥料撒多了污染环境,要么撒少了减产;要么农药打早了没效果,要么打晚了虫子已经啃光了叶子。

  农业部门现在就在使用这种”天空地”一体化监测体系,通过北斗系统的厘米级高精度定位,结合高分辨率卫星影像,实现了农田地块的精确划分和变量管理。

  简单说,就是让种地变得像开车用导航一样精准。这意味着未来农民种地会更加”科学化”——什么时候该浇水、什么地方需要施肥、哪块田可能有虫害,卫星都能提前”告诉”农民。

中国卫星改变世界?(图4)

  这就是为什么我们能在超市里买到新鲜水果蔬菜的一大保障。2025年第一次国家农产品质量安全监测显示,蔬菜合格率达98.1%,水果合格率97.5%。你买的山东苹果、海南芒果、新疆葡萄,从种植到上市,卫星都在默默盯着。

中国卫星改变世界?(图5)

  前段时间国庆,阿里推出的高德扫街火了,大家通过高德的推荐,体验到了很多口碑颇佳的“烟火小店”。

  你有没有想过,高德扫街推荐的这些餐厅,依据是什么?是怎么避免之前大众点评那样“刷好评”的情况的?

  其实,高德扫街榜能够将庞大的出行数据,转化为客观公正的线下服务评分,核心就是依靠北斗的空间智能支撑。

  通过北斗卫星系统,高德能够精确追踪用户的真实出行轨迹、停留时间、重复访问频率等行为数据。比如某家小餐厅,如果用户经常导航到这里,并且在这里停留时间较长(说明在用餐),而且会重复来访,这些真实的出行行为数据就构成了可信的评价基础。

  2025年国庆期间,高德调用北斗卫星的日定位量接近1万亿次,创下北斗规模化民用的新纪录。正是基于这种海量的、无法造假的空间位置数据,高德扫街榜能够筛选出真正受欢迎的宝藏小店,也能让外地游客不再错过这些藏在巷子里的美食。

中国卫星改变世界?(图6)

  以前没有卫星监测的时候,渔民出海就像盲人摸象:结果常常是跑了几十海里却空手而归,油钱都捞不回来。这种靠天吃饭的后果,直接反映在老百姓的餐桌上:

  在2000年代甚至更早,对很多内陆家庭来说,带鱼是过年才舍得买的一道“硬菜”。原因很简单:渔民出海靠经验“碰运气”,经常空网而归;

  因为当时没有实时天气预警,渔船不敢远航,只能在近海捕捞——而近海带鱼资源早已枯竭。

  后来,通过卫星数据,渔民们现在能获得渔情、渔区、气象等相关信息,帮助他们选择最佳渔场和合适的作业时间。出海前,船长手机上就能看到不同海域的水温变化,以及鱼群活跃度。

  更重要的是,北斗卫星导航系统不仅能提供精准定位,还能让渔民在茫茫大海上与岸上及时联系,遇到故障时发出求救信号。

  这就是为什么你能在餐桌上吃到新鲜海鲜的原因之一——有卫星在帮渔民们找鱼群。

中国卫星改变世界?(图7)

  再说物流行业,大家都知道,将来物流行业的一大趋势,就是配送的无人机,无人车越来越多,整个物流、快递行业都开始朝着“无人化”发展。

  但问题是,要让这些无人机、无人车准确的送达快递,光靠以前的GPS就不够了。

  以前的卫星导航,主要是GPS那套,精度也就几米到十几米,够开车指路,但无人机飞低空、钻巷子时,麻烦大了:信号被高楼树木挡住(叫“多路径干扰”),定位就抖啊抖,偏差个几米,机器一慌就“哎哟喂,撞墙了”或飞偏仓库。分拣机器人也一样,抓个包裹得靠摄像头+地面传感器凑合,准头有限,效率低,丢包率高。

  快递量小时候凑合,现在天天亿万件,规模一放大,这精度就露馅儿了——延误、丢货,成本蹭蹭涨。

中国卫星改变世界?(图8)

  现在北斗三号,不光继承GPS的衣钵,还加了自家“黑科技”:能做到亚米级甚至厘米级高精度,靠“地基增强系统”(像地面雷达帮卫星纠错),加上RTK实时差分技术,不抖不偏。

  在以后无人机、无人送货车不断普及的时代,这是你我能准时收到快递的一大保障。

中国卫星改变世界?(图9)

  如果说卫星应用的普及让人眼前一亮,那么中国卫星制造技术的突破更是让人刮目相看。今年,中国航天科技集团引入了一种叫做”总装拉动”的全新制造模式。这个听起来有些专业的名词,其实就是把汽车行业的精益生产原则搬到了航天制造上。

  简单来说,就是像造汽车那样造卫星——通过模块化设计、柔性产线、批量出货,让卫星制造从”手工艺品”变成”工业产品”。这种变化的意义可不小,它意味着中国能够以更低的成本、更快的速度批量生产卫星。

中国卫星改变世界?(图10)

  这种制造能力的提升,直接影响了中国卫星发射的频率。从2025年7月到8月,中国星网GW星座的发射间隔从此前的1-2个月大幅缩短至3-5天。这种”密集发射”的背后,正是制造能力提升的体现。

  过去,卫星通信昂贵又稀少,只有远洋轮船或科考队才用得起。但“总装拉动”大幅降低卫星制造成本和周期后,低轨通信星座(比如中国的“GW星座”)就能快速部署成千上万颗卫星。

  举个例子,你在西藏自驾、海上钓鱼,甚至坐高铁穿隧道时,手机依然能流畅刷视频、打视频电话,即使在偏远地区,也不再“失联”。

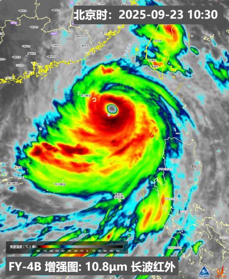
  更关键的是,更多、更便宜的气象卫星意味着更密集的地球观测。结合AI,系统能提前识别台风生龙8品牌介绍成、城市内涝风险、山体滑坡征兆。

  2025年9月台风桦加沙来袭前,中国气象卫星系统展现了令人瞩目的预警能力。这个被称为年度风王的超强台风(17级),云系范围东西长超过1300公里,南北宽超过1000公里,体型超过整个广东省。

  通过风云四号B星等9颗风云卫星组成的天基观测网,中国提前5天精准预测了桦加沙的登陆位置和时间,台风24小时路径预报误差仅为62公里,创下历史最佳纪录。

中国卫星改变世界?(图11)

  与此形成鲜明对比的是,美国国防部在2025年飓风季期间突然停止提供三颗关键气象卫星的数据,这些卫星原本提供飓风内部结构的X光式透视,数据中断直接影响了美国国家飓风中心的预报精度。

  在美国,卫星更多被视为科研资产或军事资源,民用服务依赖市场化机构或私营企业(如SpaceX发射卫星),缺乏强制性的公共服务义务。

  这就导致了,美国在预算压力下,可能优先砍掉“看不见直接收益”的气象卫星项目。在科学家看来,这是懂王“削减科学预算”的延续。

  这种救命级预警能力的差异,背后正是各国对卫星技术该“怎样使用”以及“用在何处”的理念差异。

中国卫星改变世界?(图12)

  说到卫星互联网,很多人第一个想到的就是马斯克的星链。但中国的卫星发展路线却走出了完全不同的风格。

  马斯克造星链,说是要”让全人类都能上网”,听起来很美好。但现实是什么呢?星链的终端设备几百美元一套,月费上百美元,能用得起的大多是欧美发达国家的用户,普惠性有限。

  根据2025年的数据,星链的终端设备售价仍在400-600美元,月费在50-120美元之间,这对于发展中国家的普通家庭来说仍然是一笔不小的开支。

中国卫星改变世界?(图13)

  中国的卫星却在走一条更安静、但更普惠的路。它们让农田能被”看见”,让渔船能找到鱼群,让外卖小哥能绕开积水路段,让城市的每一条街都能被数据”理解”。

  从农业监测到城市管理,从海上捕鱼到快递配送,中国卫星正在构建一个真正的”万物互联”网络。

  这种”润物细无声”的技术应用方式,可能不如星链那样引人注目,但却反映了中国对卫星技术应用的独特理解。

  就像人们通过汽车制造中的“总装拉动”技术提高了卫星的产量、生产效率,而更多的卫星又反过来提升了农业、渔业、物流、出行、智慧城市等方面的效率一样,卫星从来不是孤立的技术,而是国家科技—产业—治理大系统中的“效率放大器”和“连接器”。

  它的发展水平,不仅看单颗卫星性能,更要看它如何嵌入并赋能整个经济社会系统。

  未来的胜负,不取决于谁的卫星更多,而取决于谁的“卫星×社会”耦合效率更高。

中国卫星改变世界?(图14)

  也许在若干年后回头看,我们会发现,当卫星真正成为社会大系统中的有机组成部分,当它们能够无缝融入从农田到餐桌、从工厂到家门的每一个环节时,这种系统性的协同效应所释放的能量,将远超任何单一技术的突破。这不仅是中国卫星的魅力所在。

  更重要的是,当这套系统性的卫星发展思路,与“一带一路”结合起来后,中国就能将自己这套可复制、可扩展、低成本的现代化治理能力,输出到伙伴国家,让中国科技在全球更具韧性与黏性。

  谁掌握了将尖端科技转化为普惠性公共产品的能力,谁就掌握了全球合作的主动权。

  当人类迈入万物互联与AI高度协同的新纪元,卫星将不再只是“天上的眼睛”,而是整个数字文明的时空锚点与感知神经。

  未来已来,只是尚未均匀分布。而中国的卫星,正在让这份未来,更公平、更高效、更可感地,落在每一个普通人的生活里。

中国卫星改变世界?(图15)

中国卫星改变世界?(图16)

  特别声明:以上内容(如有图片或视频亦包括在内)为自媒体平台“网易号”用户上传并发布,本平台仅提供信息存储服务。

  女儿花2888元给75岁父亲办欢乐谷年卡,父亲每天早晨6点起床,坐一个半小时地铁去玩

  ASML公司CEO:中国正在尝试开发自主设备,准备抛弃掉我们的光刻机,并且还有可能拿稀土卡我们脖子

  《编码物候》展览开幕 北京时代美术馆以科学艺术解读数字与生物交织的宇宙节律

  苹果 M5 MacBook Pro 极限散热测试:温控优于 M4,单风扇成瓶颈